技術資料
交差点専用照明器具クロス・パズー™による照明設置効果の検証
技術開発室 技術部 技術開発グループ
国内営業事業部 官公需推進室
国内営業事業部 中部技術設計センター
国内営業事業部 名古屋営業所 第二営業課
キーワード
交差点,横断歩道,安全,安心,視認性,クロス・パズー™(cross-PAZU®),歩行者
3.目的
クロス・パズー™の設置前・後において,交差点内や横断歩道上の歩行者の見え方を,実施工した交差点照明施設において,設置効果の検証を行う。
4.効果検証
4.1 調査場所
クロス・パズー™の照明効果の検証は,次に示す2ヶ所にて行った。
- 設置場所
- (1)春日井市坂下町4丁目交差点,(2)名古屋市松原2丁目交差点
4.2 照明配置
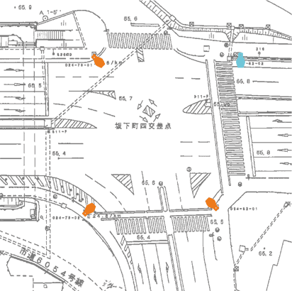
両交差点照明の改修前後の配置を,坂下町4丁目交差点の改修前の照明配置を図4に,改修後を図5に,松原2丁目交差点の改修前の照明配置を図6に,改修後を図7に示す。
坂下町4丁目交差点の照明改修前は,照明器具KSC-7が3台とH7707が1台,使用ランプは高圧水銀ランプ700Wが3灯とセラミックメタルハライドランプ360Wが1灯による照明で,交差点内の平均照度16.5ℓxであった。照明設備の改修後は,3台のKSC-7をいずれもクロス・パズー™に交換し,使用ランプを高圧水銀ランプ700Wからセラミックメタルハライドランプ360Wに変更して,省エネ化を図りながら,交差点内の平均照度は改修前とほぼ同じ16ℓxを維持し,均斉度を改修前の概ね2倍に改善した。
他方,松原2丁目交差点の照明改修前は,連続照明によるハイウェイ灯で,使用ランプはセラミックメタルハライドランプ360Wが4基による照明で,交差点内の平均照度13.6ℓxあるが周囲が明るい為に,暗く感じる照明環境であった。そこで,照明設備の改修後は,セラミックメタルハライドランプ360Wを使用したクロス・パズー™を交差点内に2基増灯し,交差点内の平均照度を23ℓxに,均斉度を改修前の2.5倍に改善した。
クロス・パズー™による交差点照明での改善効果は,交差点内の平均照度の増加による明るさ感の改善とともに,次に示す事項による照明改善効果が交通安全対策上のポイントである。
- 横断歩道上の歩行者を直接照明することにより,運転者から見た歩行者の見え方が改善されている。特に,雨天時における歩行者の見え方が改善されている。
- 横断歩道の近傍が明るくなったことで,運転者は歩行者の行動を事前に予測しやすくなった。
- 交差点中央部で,右折車から見た時の対向車や歩行者の見え方が改善された。
図4 改修前の照明配置図(坂下町4丁目交差点)
| 照明器具形式 | H7707 | KSC-7 |
|---|---|---|
| ランプ形式 | MT360 | HF700X |
| 光束(ℓm) | 31,700 | 41,000 |
| 灯高(m) | 12 | 12 |
| 台数 | 1基 | 3基 |
| 備考 | 照明柱(既設) | 照明柱(既設) |
| 交差点+1m外 | |
| 維持平均照度(ℓx) | 16.5 |
| 均斉度(最小/平均) | 0.21 |
| 均斉度(最小/最大) | 0.08 |
図5 改修後の照明配置図(坂下町4丁目交差点)
| 照明器具形式 | H7717 | H7707 |
|---|---|---|
| ランプ形式 | MT360 | MT360 |
| 光束(ℓm) | 31,700 | 31,700 |
| 灯高(m) | 12 | 12 |
| 台数 | 3基 | 1基 |
| 備考 | 照明柱(更新) | 照明柱(既設) |
| 交差点+1m外 | |
| 維持平均照度(ℓx) | 16.0 |
| 均斉度(最小/平均) | 0.39 |
| 均斉度(最小/最大) | 0.13 |
図6 改修前の照明配置図(松原2丁目交差点)
| 照明器具形式 | H7707 |
|---|---|
| ランプ形式 | MT360 |
| 光束(ℓm) | 31,700 |
| 灯高(m) | 12 |
| 台数 | 4基 |
| 備考 | 照明柱(既設) |
| 交差点+1m外 | |
| 維持平均照度(ℓx) | 13.6 |
| 均斉度(最小/平均) | 0.13 |
| 均斉度(最小/最大) | 0.05 |
図7 改修後の照明配置図(松原2丁目交差点)
| 照明器具形式 | H7717 | H7707 |
|---|---|---|
| ランプ形式 | MT360 | MT360 |
| 光束(ℓm) | 31,700 | 31,700 |
| 灯高(m) | 12 | 12 |
| 台数 | 2基 | 4基 |
| 備考 | 照明柱(追加) | 照明柱(既設) |
| 交差点+1m外 | |
| 維持平均照度(ℓx) | 23.0 |
| 均斉度(最小/平均) | 0.35 |
| 均斉度(最小/最大) | 0.16 |
テクニカルレポートに掲載されている内容は、原稿執筆時点の情報です。ご覧の時点では内容変更や取扱い中止などが行われている可能性があるため、あらかじめご了承ください。